澳媒报道,七年前一场飓风摧毁了他所在的偏远社区,当地镇长韦恩·布彻周四清晨醒来时,心中涌起一种不祥的预感。
当时,昆士兰州约克角半岛的洛克哈特河地区尚无风雨迹象。
“但你能感觉到。有什么东西要来了。”布彻对澳大利亚联合通讯社表示。
当他得知一个多世纪以来袭击约克角的最大飓风正逼近他的社区时,最担心的事情得到了证实。
热带气旋“纳雷尔”预计将于澳大利亚东部标准时间周五上午7时左右在凯恩斯以北的科恩附近登陆,届时将是一个危险的五级系统,阵风时速超过250公里。
数百人已被疏散,军队处于待命状态,人们担心这场可能致命的风暴将引发暴雨并“掀翻棚屋”。
“看起来它会沿着该死的'特雷弗'气旋同样的路径移动。我昨晚睡不着,就是有种不祥的预感。”布彻说。
2019年3月19日,四级气旋“特雷弗”袭击洛克哈特河,摧毁了沿途一切。

气旋“纳雷尔”预计将于周五上午在凯恩斯以北的科恩附近登陆(图为周四晚间道格拉斯港的天气状况)

数百人已被疏散,军队处于待命状态,以应对该天气系统(上图)的到来
整整七年后的同一天,洛克哈特河正准备迎接“纳雷尔”——这是自1899年3月“马希纳”气旋造成300多人死亡以来,首个袭击约克角的五级系统。
“不幸的是,我们在应对飓风方面已经很有经验了。”布彻说。
随着“纳雷尔”逼近,镇长表示将实施非正式宵禁。
一辆警车将在街道上行驶,警笛鸣响,警告居民是时候寻找避难所了。
但当地没有社区疏散中心,也没有监测风暴的应急中心。
居民被鼓励搬出木质和可拆卸房屋,迁入社区坚固的矮层混凝土砌块房屋。
“我们基本上是随机应变。”布彻谈及他们的飓风应对措施时说。
“电话可能会中断,所以人们得把旧对讲机从柜子里拿出来,为清理工作做好准备。”

该气旋预计将以危险的五级系统登陆,产生时速超过250公里的阵风
周四,洛克哈特河被纳入气旋警戒区,警戒范围向南延伸至苦难角,当地正为“纳雷尔”做准备。
脆弱居民被疏散,游客搭乘最后几班航班离开,学校停课。
“我不能粉饰太平,如此规模的系统将造成大范围破坏。”昆士兰州州长大卫·克里萨富利表示。
100多名应急服务人员已被派往北部,警察逐户敲门确保居民做好准备。
“预测中的风力足以掀翻棚屋、将大篷车吹到公路上,并形成空中碎片场。”昆士兰州灾害协调员助理专员克里斯·斯特里姆说。
“这些物体以超过100公里的时速被抛射,将造成致命后果。”
预计约克角地区周四起的降雨量将超过500毫米。
远北地区已因近几个月连续遭遇热带低气压引发的洪水而陷入困境。

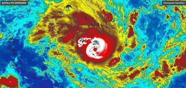
100多名应急服务人员已被派往北部,当局为大规模破坏做准备(图为周四下午该气旋的卫星图像)
满载物资的集装箱已运抵,应急发电机处于待命状态,该地区被告知将断电。
穿越约克角后,风暴预计将袭击北领地北部地区,并可能进入西澳大利亚州。
军队处于待命状态,未来几天内约500人将从北领地农布尔瓦尔社区疏散。
这个偏远社区曾在2019年气旋“特雷弗”威胁时疏散过。
北领地部分地区已发布气旋观察预警,预计“纳雷尔”将于周六以三级系统强度穿越北领地海岸。